Loading...
Pour découvrir contactez nous
Je veux être contacté
1/4
Under preliminary sale agreement
Exclusive
Investment
Under preliminary sale agreement
Exclusive
Investment
CUTRY 54720

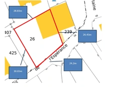
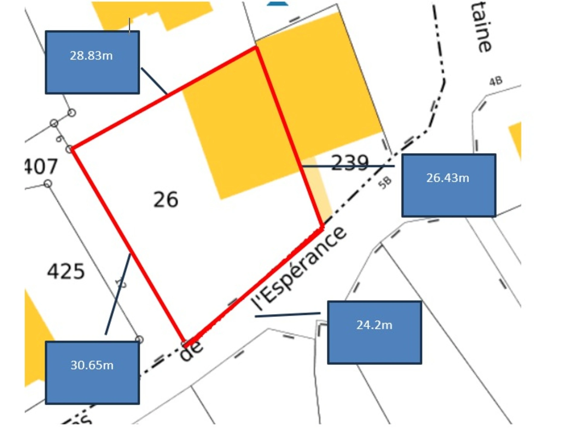
Land/Hangar for sale CUTRY (54)

  • area
    200 m2
  • land
    742 m2

Presentation of the property : Shop 1 room for sale in CUTRY

Investor or Individual!! -----Rue de la Fontaine, 54720 Cutry - plot of 742 m² Hangar and/or Land for construction of house/small co-ownership — Rare Opportunity! Located Impasse Les Jardins de la Fontaine 54720 Cutry NEAR the Luxembourg and Belgian borders To discover without delay: on a plot of 742 m² with possible construction for a main residence, a hangar of approximately 200 m² offering multiple possibilities. ? The real asset of this property: its strong potential! Whether you are an investor, craftsman or leader of a real estate project, this land offers you an ideal base to realize your ideas. Possibility to develop, expand or completely rethink the space according to your needs, subject to planning permission. ? Strategic location: NEAR the Luxembourg and Belgian borders, this property is suitable for both professional and residential use. ✅ Flat land, ready to accommodate new projects ✅ Possible plot division. Conservation of the shed + a dwelling on the free part of the land ✅ Existing shed: storage, workshop or demolition for main residence ✅ Setting offering strong potential for development ? A perfect opportunity for your future home, a professional premises or to carry out a real estate transaction. For more information, contact me!

Les honoraires sont à la charge du vendeur.
Les informations sur les risques auxquels ce bien est exposé sont disponibles sur le site Géorisques : www. georisques. gouv. fr.

** ENGLISH SPEAKERS: please note that Capifrance has an international department that can help with translations. To see our range of 20,000 properties for sale in France, please visit our Capifrance website directly. We look forward to finding your dream home!
Additional information :
To view the fee schedule : click here
Location of the property : Shop 200 m2 for sale in CUTRY
54720 CUTRY

Features of this property :

340 931 479 449
1
200
742
yes

Capifrance advisor in charge of this property

Loading...
The data collected from this form is necessary to enable us to respond to your request. It is collected and processed electronically by the data controller and may be passed on to our internal departments and to our partners involved in processing your request. You have the right to access, rectify and object to your data, which you can exercise by contacting us at dpo@digitregroup.com. In accordance with article L 223-1 of the French Consumer Code, users are informed that they have the option of registering on www.bloctel.gouv.fr to oppose all telephone canvassing, with the exception of established customer relationships.
FAQ
The Capifrance team answers your frequently asked questions:

Investing in commercial properties can offer several attractive advantages for investors. Here are some reasons why this type of investment can be appealing:

High returns
Tenant stability: Businesses tend to sign long-term leases (often between 3 and 9 years). This provides stable rental income over the long term and reduces the risk of vacancy.
Property appreciation: Commercial properties can increase in value over time, especially if they are located in developing areas or thriving business districts.
Diversification opportunities: Investing in commercial properties allows for the diversification of an investment portfolio. This helps reduce risks by spreading investments across different types of real estate assets (offices, retail spaces, warehouses, etc.).
Less daily management: Compared to managing residential properties, commercial properties require less daily management. Tenant businesses are generally responsible for routine maintenance.

There is no tacit renewal. The tenant must request the renewal of the lease 6 months before the lease's expiration. This request cannot be refused.

In the case of tacit extension, the conditions of the initial lease continue to apply, but the parties can terminate the lease at any time, subject to a notice period. The terms of the lease (rent, charges, etc.) continue to apply. If the lease duration exceeds 12 years, the landlord can uncap the rent (i.e., the rent will be set at the market rental value commonly practiced in the vicinity).

Valuing a business requires a comprehensive approach, taking into account the financial, commercial, material, and immaterial aspects of the company. Consulting a specialist in business valuation can also help to obtain an accurate and professional estimate.

Do you need advice for your real estate project? Contact a Capifrance advisor

Find out the market price of your property

For a successful sale
Reliable, Fast, Efficient
Robert CIPOLLA
Presented by
Robert